研修生が綴るコースのリアル
お久しぶりです😊
WSのひじりです
前回の投稿から時間が経ってしまいましたね!何かをコツコツと継続するのって難しいですけど、続ければいいことがあると思います
今回は、2ヶ月間一緒にカヌチャ店で働いたスタッフを体験ダイビングに連れていきました
本人は、ライセンスを持っていませんでしたが、始まる前からワクワクしていました
お客様と同じように、呼吸の仕方・耳抜きの仕方・ハンドシグナルを教えた後に、器材の使い方、水面での呼吸の練習とマスククリア、レギュクリアをして体験ダイビングスタートしました

初めてはずなのに、呼吸も上手、耳抜きも問題なしでとても上手に出来ていました👏
やっぱり、教えたインストラクター(ひじり)の腕がいいからですかね😏

水中スナップモードで撮ってしまいましたが、これはこれで綺麗な写真だと思います笑
カクレクマノミ
皆さんご存知かと思いますが、イソギンチャクの中で一番大きい個体がメスで、性転換して子孫を増やしていく魚ですね
ウミガメが稀にイソギンチャクをかじりに来るそうです。イソギンチャクがかじられないようにカクレクマノミはウミガメに立ち向かって行くそうです
可愛い顔して、何十倍も体格差がある相手に立ち向かうなんて勇敢ですね

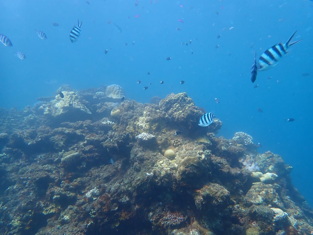
写真のほとんどが茶色で、大きな根と思うかもしれませんが、去年は茶色が見えないくらいサンゴがたくさんあったそうです‼️
去年は、沖縄に台風が来なかった影響でサンゴが死んでしまったそうです
台風が来ることで、暖かい海と冷たい海が混ざって水温が下がります!台風が来ないと海水温度がどんどん上昇していきます
水温が30℃以上の日が続くとサンゴが死んでしまいます
人間にとっては台風が来ずに晴れの日が続いて欲しいですが、海の中での台風は冷房のような存在です!
定期的に来て、サンゴでいっぱいのカヌチャを見てみたいものです🥹

そんな中でも強く生きているサンゴもあり、最近は魚の数が増えてる印象もあります

サンゴは魚の隠れ家や住処にもなります🐟
これ以上、サンゴが無くならないようにサンゴを守って行きましょうね💪

体験ダイビングでは、水中の景色の写真も喜ばれますが、吐いた泡の写真も意外と好評です
ダイバーである、僕たちにとっては、当たり前の景色でも初めて見るお客様からしたら、何もかもが新鮮なことなので、接客するにおいても初めて海で呼吸した時のことなど、初心を忘れずに接することも大切だと思いました😌
スタッフも、泡の写真がお気に入りと言っていました😍
写真の技術や、ダイビングの技術向上も大事ですが、一番大切なのは、安全に楽しんでもらうことですね
まだまだ、精進していきたいですね😎
では、今回はこの辺で!
カヌチャ店のInstagramもあるので、一度見てみてくださいね
https://www.instagram.com/marine_club_berry_kanucha?igsh=N2x3d2ZiNnljN2hk&utm_source=qr